19 Greglen Avenue • $300,000
Mid Island, Nantucket, MA
Not listed in LINK
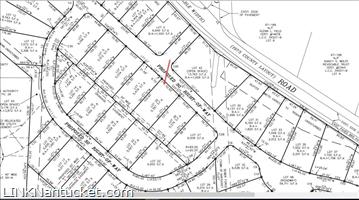
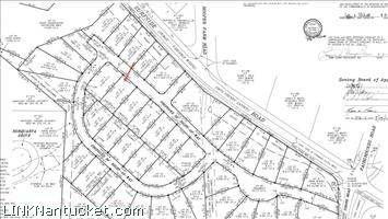
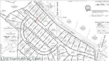
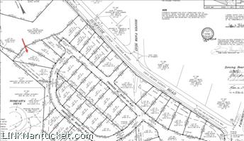
19 Greglen Avenue Location
Property Code: #76481
Sold Date:
Jun 15, 2012
Asking Price:
$300,000
Original Price:
$300,000
Bedrooms:
3 beds
Bathrooms:
2 baths
Lot:
1 sq ft
Year Built:
1979
Heating Type:
Electric
Assessed Value:
$637,400



























